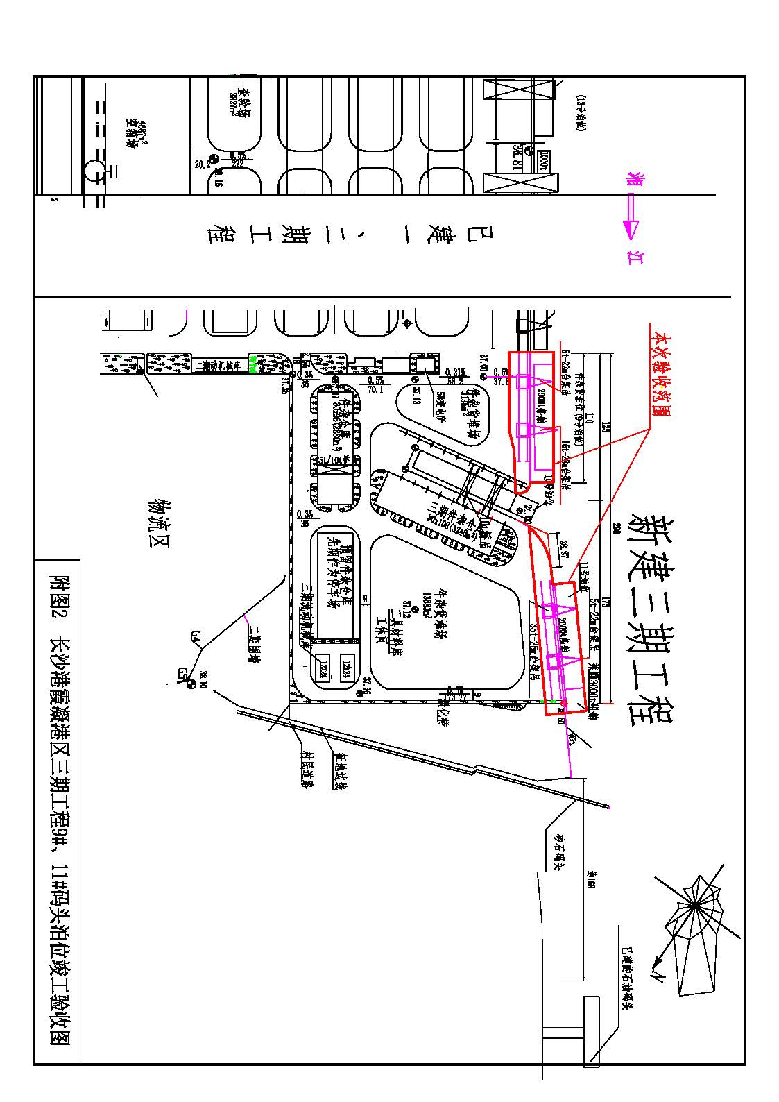
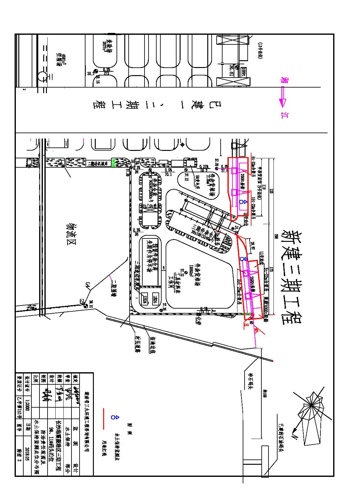
根據水利部關于加強事中事后監管規范生產建設項目水土保持設施自主驗收的通知(水保(2017) 365號)、《湖南省水利廳關于下放部分生產建設項目水土保持方案審批權限的通知》(湘水辦[2017]116號)和《長沙市水務局關于簡化生產建設項目水土保持方案及水土保持設施驗收有關事項的通知》(長水發〔2017〕27號)規定,2018年7月3日,湖南長沙新港有限責任公司主持召開了長沙港霞凝港區三期工程9#、11#碼頭泊位水土保持設施驗收會議,會議成立了驗收組。 通過深入工程現場核查,并查閱相關檔案資料,驗收小組認為本工程積極落實了各施工區域的水土流失防治工作,水土保持設施質量總體合格,水土流失防治指標達到了水土保持方案確定的目標值,符合水土保持設施竣工驗收的條件。驗收組一致同意長沙港霞凝港區三期工程9#、11#碼頭泊位水土保持設施通過驗收。經驗收組與會議審議,形成了《長沙港霞凝港區三期工程9#、11#碼頭泊位水土保持設施自查驗收鑒定書》。





































 
 


















 |